Residential Lot in Downtown Westbury’s Transit-oriented Development Zone with Lirr Access
Pending
Commercial Sale
Land
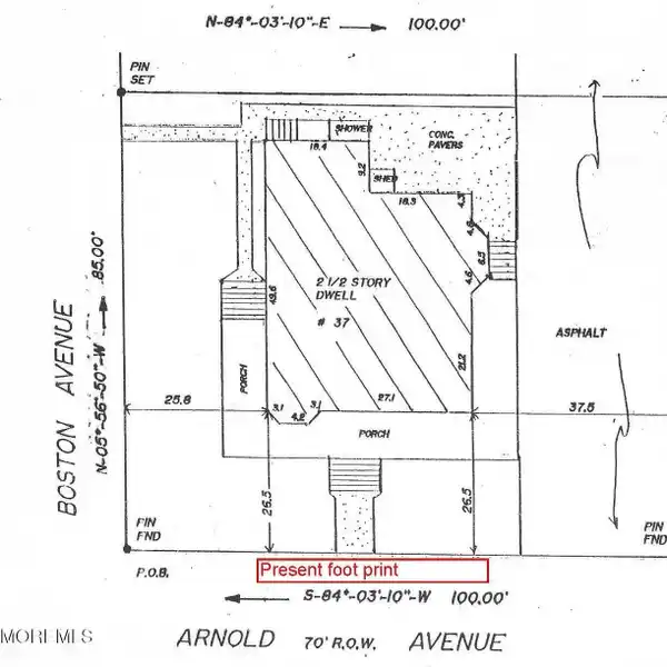
333 Union Avenue, Westbury, New York, 11590, USA
USD $4,985,000-
Approximately 3/4-acre residential lot
-
Located in Westbury TOD Zone
-
Directly across from LIRR mainline
-
Near major parkways and expressway
-
Zoned for higher-density residential use
- Transaction Type:Commercial Sale
- Property Type:Land
- Status:Pending
- Area:3,000 sf
- Cooling:Central Air
Businesses Nearby
Monroe's Restaurant
Cena 081
La Fonda Deli, Westbury.
Armando's Deli & Pupuseria
Cafe Baci
FandoQ
Mala Madre Taqueria
Qahwah House - Westbury Long Island
Nan Xiang Soup Dumplings - Westbury
The Shed Restaurant - Westbury NY
Public Transportation
Westbury
Westbury LIRR Station
Westbury
Westbury Long Island Railroad Commuter Parking Garage
Railroad Av / Post
SUNY Old Westbury
Airports
Republic Airport
John F. Kennedy International Airport
LaGuardia Airport
Westchester County Airport
Long Island MacArthur Airport
DISCLAIMER:Listing data provided to the Site by third parties. Reliance Relocation Services, Inc. and subsidiary companies do not warrant or make representations regarding the listings and other information displayed on the page, including the reliability, accuracy, or currency of any information, content, or service displayed on this page. Listings may be withdrawn from the market at any time and are subject to errors, omissions, and prior sale or rental without notice.