Choose Your Preferences

Counts Real Estate Group, Inc. Logo Active Commercial Sale Land

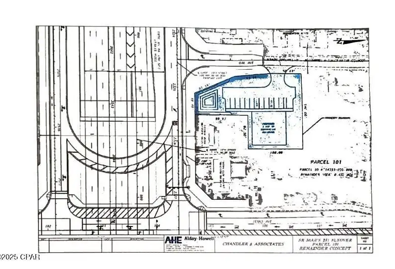
230 West 15th Street, Panama City, Florida, 32401, USA

USD $210,000
Reference ID:768957 Web ID:1d877
  • Corner lot at Oak St and 15th St

  • 177 feet frontage on Oak Street

  • Visible from US 231 Flyover exit

  • High traffic counts on 15th Street

  • Suitable for retail or office use

Prime Commercial Corner Lot - Oak St & 15th St, Panama City, FLProperty Overview:This highly visible commercial property is positioned at the corner of Oak Street and 15th Street (SR 30A/US 231 Flyover exit), offering 177 feet of frontage on Oak Street with direct visibility from 15th Street, a high-traffic corridor in Panama City, FL. Located at a strategic intersection, this site presents an unparalleled opportunity for commercial development, retail, office space, or investment.Key Highlights: Highway Visibility: Directly visible from 15th Street (SR 30A) and situated on the new US 231 Flyover exit, ensuring consistent exposure to local and through traffic. Corner Location: Maximum accessibility with ingress/egress options on Oak St. and potential cross-access points. 177 Feet of Frontage: Prime commercial exposure on Oak Street, ideal for signage and visibility. High Traffic Counts: 15th Street serves as a key commercial artery, with strong commuter and tourist traffic. Zoning & Use Potential: Suitable for retail, office space, fast food/QSR, medical, or mixed-use development.Location Advantages: Positioned in a growing commercial hub with easy access to Downtown Panama City, Callaway, and Lynn Haven. Minutes from major retail centers, government offices, and business districts. Direct connectivity to US Highway 231, a major north-south corridor linking Panama City to I-10 and beyond.Development Potential:This site offers excellent potential for single or multi-tenant commercial development, drive-thru businesses, professional services, or investment opportunities. The surrounding infrastructure improvements, including the new flyover and expansion projects, make this a prime time to secure a spot in one of Panama City's emerging commercial hotspots.
  • Transaction Type:Commercial Sale
  • Property Type:Land
  • Status:Active
  • Lot Size:0.58 Acres
Map
Businesses Nearby

Mama Ann Restaurant

(0.5 miles away)

Tally-Ho Drive In

(0.2 miles away)

Waffle House

(0.2 miles away)

Downtown Slice House

(0.3 miles away)

Big Mama's on the Bayou

(1 mile away)

The Place Downtown

(1 mile away)

Somethin's Cookin' Downtown

(1 mile away)

Trigo San Francisco Style Deli & Catering

(1 mile away)

The Grocery Kitchen and Taproom

(2 miles away)

GTG Cafe

(3 miles away)
Public Transportation

19th St & Jenks Ave.

(0.5 miles away)

19th St. & Harrison Ave.

(0.5 miles away)

Bayway

(0.9 miles away)

Panama City Mall

(1 mile away)

Harrison Ave. & 7th St.

(1 mile away)

Panama City Beach Bus Station

(7 miles away)

Greyhound: Bus Station

(7 miles away)
Airports

230 W 15th St

(0.5 miles away)
Contact Counts Real Estate Group, Inc.
By submitting this form, you agree to our privacy policy and terms of service.

DISCLAIMER:Listing data provided to the Site by third parties. Reliance Relocation Services, Inc. and subsidiary companies do not warrant or make representations regarding the listings and other information displayed on the page, including the reliability, accuracy, or currency of any information, content, or service displayed on this page. Listings may be withdrawn from the market at any time and are subject to errors, omissions, and prior sale or rental without notice.

Property Highlights

  • Corner lot at Oak St and 15th St

  • 177 feet frontage on Oak Street

  • Visible from US 231 Flyover exit

  • High traffic counts on 15th Street

  • Suitable for retail or office use